Siêu bão Surigae được gọi là “cơn bão quái vật” vì có sức gió mạnh nhất lên tới 306km/ giờ vào cuối tuần vừa rồi, gió giật còn mạnh hơn.
Dù tâm bão không đi thẳng vào đất liền, nhưng Surigae cũng khiến các nhà khí tượng ở Philippines rất căng thẳng, bởi nó đã trở thành cơn bão mạnh nhất từng được ghi lại vào thời điểm tháng 4, vượt qua cả bão Maysak năm 2015.
Tại sao Surigae lại gây bất ngờ và lo lắng đến vậy? Vì nó là cơn bão mới nhất trong số nhiều cơn bão trong những năm gần đây trải qua một quá trình gọi là “tăng cường độ nhanh chóng”. Đó là một đặc điểm đang ngày càng trở nên phổ biến, mà lý do chính là biến đổi khí hậu.
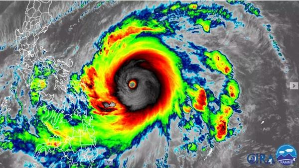
![]() |
| Hình ảnh vệ tinh của siêu bão Surigae vào cuối tuần vừa rồi. Ảnh: CIRA/ RAMMB. |
Việc những cơn bão mạnh lên rất nhanh khiến đôi khi, các cơ quan khí tượng khó đưa ra những dự báo chính xác, và bão có thể gây thiệt hại nặng nề nếu đổ bộ.
Bão Surigae đã tăng từ Bậc 1, với sức gió 145km/ giờ, lên thành siêu bão Bậc 5, với sức gió 290km/ giờ, chỉ trong có 24 giờ. Tốc độ tăng cường này của Surigae là rất đáng kinh ngạc, khi nó cao hơn gấp đôi so với tiêu chuẩn về “tăng cường độ nhanh chóng”.
Ngoài ra, theo trang Axios, Surigae thậm chí còn có thể gây xáo động các mô hình thời tiết ở những nơi rất xa, bao gồm cả Bắc Mỹ, trong vòng vài tuần tới.
![]() |
| Mưa ngập ở Philippines do ảnh hưởng của bão Surigae. Ảnh: Global News. |
Siêu bão Surigae đã đạt đến điểm cực đại trên thang đo, theo các kỹ thuật mà các nhà khí tượng dùng để ước lượng cường độ bão thông qua vệ tinh. Nó đạt đến mức 8 trên một thang đo có chỉ số cao nhất là 8, và điều này được cho là rất bất thường. Tuy nhiên, do máy bay không bay vào các cơn bão ở phía Tây Thái Bình Dương theo cách mà chúng bay ở Đại Tây Dương, nên chúng ta có thể sẽ không bao giờ biết rằng thật ra thì siêu bão Surigae mạnh đến mức nào. Một số chuyên gia cho rằng, sức gió 306km/ giờ có lẽ còn là mức đánh giá hơi bị thấp so với sự thật.
![]() |
| Sóng lớn do ảnh hưởng của bão Surigae. Ảnh: Global News. |
Surigae cũng là cơn bão nhiệt đới Bậc 5 đầu tiên xuất hiện trong năm 2021. Theo thống kê thì mỗi năm sẽ có khoảng 18 cơn bão Bậc 4 và 5 trên khắp thế giới, nhưng trong những năm gần đây, con số này thường tăng lên.
Vào sáng nay, Surigae đã yếu đi một chút, với sức gió “chỉ” còn ở mức 250km/ giờ ở phía Đông - Đông Bắc Catanduanes (Philippines), di chuyển chậm (chỉ 10km/ giờ), theo cơ quan khí tượng của nước này (PAGASA). Nó gây mưa lớn ở nhiều vùng tại Philippines, và đang tiến theo phía Bắc - Tây Bắc nên khả năng lớn là sẽ không vào nước ta. Tuy nhiên, hiện các cơ quan khí tượng của nhiều nước vẫn đang theo dõi Surigae rất kỹ, ít nhất phải đến tuần sau, bởi nó vẫn đang là một cơn bão mạnh.
![]() |
| Đường đi dự kiến của siêu bão Surigae (Bising), được đưa ra vào sáng 19/4. Ảnh: PAGASA. |
Riêng tại Philippines, khoảng 50.000 người ở Bicol đã được yêu cầu sơ tán trước do các nguy cơ tiềm ẩn về ngập lụt và sạt lở đất.
![]() |




