Cuộc tìm kiếm chiếc máy bay mang số hiệu MH370 kéo dài 7 năm đã tiêu tốn 85 triệu bảng Anh, nhưng đến thời điểm hiện tại vẫn chưa mang lại manh mối gì. Giới chuyên gia mô tả việc này chẳng khác nào “tìm kiếm một thứ gì đó bé xíu dưới đống cỏ khô”.
Trong quãng thời gian 7 năm đó, các nhà khoa học và thám tử nghiệp dư đã viết 150 cuốn sách về vụ tai nạn được coi là bí ẩn hàng không lớn nhất trong lịch sử.
Máy bay mang số hiệu MH370 của hãng hàng không Malaysia Airlines mất tích ngày 8/3/2014 khi đang bay từ Kuala Lumpur (Malaysia) đến Bắc Kinh (Trung Quốc).
Tình báo quân sự tiết lộ máy bay đã đột ngột chuyển hướng và đi về phía Tây Ấn Độ Dương.
Các giả thuyết đặt ra cho sự biến mất bí ẩn này là máy bay có thể bị tấn công khủng bố, gặp một sự cố thảm khốc hoặc là một vụ giết người hàng loạt do phi công tự sát. Toàn bộ 239 người trên máy bay đều được coi là đã thiệt mạng, vì xác máy bay MH370 vẫn chưa được tìm thấy.
Nhưng Richard Godfrey (71 tuổi, kỹ sư hàng không người Anh đã nghỉ hưu) lại có một niềm tin mãnh liệt rằng ông đã xác định được vị trí xác máy bay MH370 ở khu vực cách Perth (Tây Úc) 1.197 dặm về phía Tây.
Nơi máy bay “yên nghỉ”
Chuyên gia người Anh cho biết ông đã làm việc 8 giờ mỗi ngày trong suốt 7 năm để nghiên cứu dữ liệu vô tuyến, tìm ra câu trả lời về số phận máy bay MH370.
Trong chiến dịch tìm kiếm cuối cùng, các đội tàu chuyên dụng đã quét qua khu vực rộng 46.000 dặm vuông, bằng một nửa diện tích Vương quốc Anh.
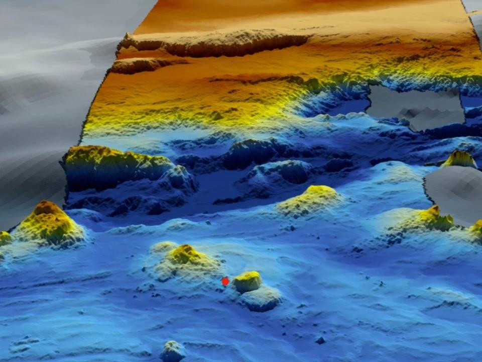
Nhưng Richard đã xác định chính xác vị trí của máy bay là tọa độ 33.177°S (nam), 95.300°E (đông), ở độ sâu 4.000m so với mặt nước biển. Ông thu hẹp khu vực tìm kiếm xuống chỉ còn 115 dặm vuông.
![]() |
| Khu vực đánh dấu đỏ được cho là nơi "yên nghỉ" của MH370. Ảnh: The Sun |
“Địa hình đáy biển ở khu vực này rất phức tạp. Có những hẻm núi ngầm và vách đá, thậm chí có cả núi lửa. Ở độ sâu 4.000m, đáy biển rất tối và lạnh. Áp suất cực lớn, nhưng với thiết bị phù hợp, xác máy bay vẫn có thể được tìm thấy”, Richard nói.
Bí ẩn về hành trình cuối cùng của MH370 được lưu trữ trong hộp đen, nơi ghi lại dữ liệu chuyến bay và các cuộc trò chuyện trong buồng lái. Chỉ bằng cách trục vớt xác máy bay, cơ quan chức năng mới có thể biết được sự thật.
Câu chuyện của Richard
Richard cho biết ông bị cuốn vào bí ẩn MH370 sau khi trải nghiệm một lần chết hụt.
Tháng 5/2009, Richard đặt chỗ trên chuyến bay 447 của hãng hàng không Air France từ Rio de Janeiro (Brazil) về Paris (Pháp). Nhưng ông bất ngờ được yêu cầu ở lại Nam Mỹ, và buộc phải lùi ngày khởi hành lại 2 tuần.
Chuyến bay 447 sau đó gặp nạn với 288 người trên khoang. Và nơi “yên nghỉ” của máy bay được phát hiện 2 năm sau đó trên Đại Tây Dương. Sử dụng dữ liệu từ hộp đen của máy bay, các nhà điều tra Pháp kết luận rằng lỗi kỹ thuật và lỗi của phi công là nguyên nhân gây ra thảm kịch.
“Tôi đã theo dõi quá trình điều tra vụ tai nạn máy bay Air France 447. Khi nhìn thấy những gì xảy ra với MH370, tôi phát hiện có nhiều điểm tương đồng và quyết định tìm hiểu”, Richard nói.
![]() |
| Ông Richard Godfrey. Ảnh: The Sun |
“Về vụ MH370, có người vẫn tin rằng thân nhân của họ chưa chết mà đang bị giam giữ ở một nơi nào đó. Rất khó để quên điều này đi và tiếp tục sống bình thản. Việc họ bám víu vào bất kỳ hy vọng nào là lẽ tự nhiên. Nhưng họ vẫn cần một câu trả lời chính xác”.
Động cơ của cơ trưởng
Sau lần liên lạc cuối cùng với đài không lưu của Malaysia, hệ thống tiếp nhận và phát tín hiệu của MH370 đã bị tắt. Nhưng một vệ tinh trên Ấn Độ Dương đã thu thập được dữ liệu về đường đi của máy bay thông qua những đợt nhiễu sóng.
“Khi máy bay đi qua một làn sóng vô tuyến, nó có thể làm nhiễu sóng. Nếu bạn sống gần sân bay và bật đài, thì khi máy bay chuẩn bị hạ cánh, sóng radio của bạn sẽ biến mất trong một thời gian ngắn”, Richard giải thích.
Chuyên gia người Anh phát hiện 143 tiếng lần làm nhiễu sóng trong chuyến bay kéo dài 7 giờ của MH370. Bằng cách ghép nối chúng với thông tin từ các nguồn khác, chẳng hạn như vị trí mảnh vỡ, Richard tin rằng phát hiện của mình là đúng.
![]() |
| Mảnh vỡ của MH370 được tìm thấy ở đảo La Reunion hồi năm 2015. Ảnh: The Sun |
Đề cập đến nguyên nhân vụ tai nạn, Richard cho biết ông nghi ngờ hành vi phạm tội của cơ trưởng MH370 - Zaharie Ahmad Shah (53 tuổi) đã bị che giấu.
Người phi công “buồn bã và cô đơn” (theo lời miêu tả của bạn bè) đã dành hàng giờ trên thiết bị mô phỏng chuyến bay tại nhà để diễn tập đường bay chết chóc. Cơ quan điều tra thậm chí đã tìm thấy một số tệp bị xoá trên thiết bị mô phỏng chuyến bay của Zaharie, cho thấy thông tin đã bị che giấu phần nào.
![]() |
| Cơ trưởng Zaharie và thiết bị mô phỏng chuyến bay tại nhà riêng. Ảnh: The Sun |
Richard suy đoán rằng Zaharie đã liên lạc với chính quyền Malaysia để đàm phán. Zaharie là người ủng hộ phe đối lập Malaysia. Ông được cho là có quen biết lãnh đạo phe đối lập - Anwar Ibrahim. Chỉ một ngày trước khi MH370 cất cánh, Ibrahim đã bị kết án 5 năm tù.
Richard cho rằng điều này có thể đã thôi thúc phi công Zaharie hành động. Khoảng thời gian 22 phút bay vòng vòng có thể là nỗ lực của Zaharie để đàm phán thả Ibrahim.
“Dường như cuộc đàm phán đã bị trục trặc, và cuối cùng Zaharie phải lái máy bay đến phần xa nhất của Nam Ấn Độ Dương”, Richard nói.
Vị chuyên gia 71 tuổi cũng loại trừ các giả thuyết quan trọng khác.
Ông cho biết: “Tôi không nghĩ đó là một tai nạn. Máy bay sẽ không thể bay trong suốt hơn 7 giờ đồng hồ nếu có hỏa hoạn trên khoang hoặc gặp trục trặc về kĩ thuật.”
Điều cần thiết bây giờ là ai đó quyên góp đủ tiền mặt cho một cuộc tìm kiếm mới. Nếu chính quyền Malaysia không sẵn lòng làm điều đó, Richard nói rằng những tỷ phú công nghệ sẽ sẵn sàng tham gia. Nhưng họ sẽ không cần tới một đội tàu hải quân. “Họ có thể khởi động một cuộc tìm kiếm dưới nước bằng tàu không người lái”, Richard nói. “Tôi muốn kiểm tra phát hiện của mình và tìm ra xác MH370”.



