Cơ quan Thời tiết Trung ương (CWA) ở Đài Loan (Trung Quốc) đã đưa ra cảnh báo trên bộ về bão Kong-rey vào sáng nay, 30/10. Những vùng có cảnh báo được dự báo sẽ nằm trong vành ngoài của bão trong vòng 18 giờ tiếp theo.
Theo Trung tâm Cảnh báo Bão Liên hợp (JTWC) của Mỹ trong bản tin 10h sáng nay, bão Kong-rey đang ở cách Đài Bắc khoảng 754 km về phía Nam - Đông Nam, gây sóng cao nhất lên đến 14 mét. JTWC đã ghi nhận Kong-rey là siêu bão, sức gió 240 km/h (trên cấp 17). Cơ quan khí tượng Philippines (PAGASA) cũng đã công nhận Kong-rey là siêu bão (tại đây gọi là siêu bão Leon).
![]() |
| Vị trí hiện tại và đường đi dự báo của siêu bão Kong-rey. Ảnh: Zoom Earth, JMA, JTWC. |
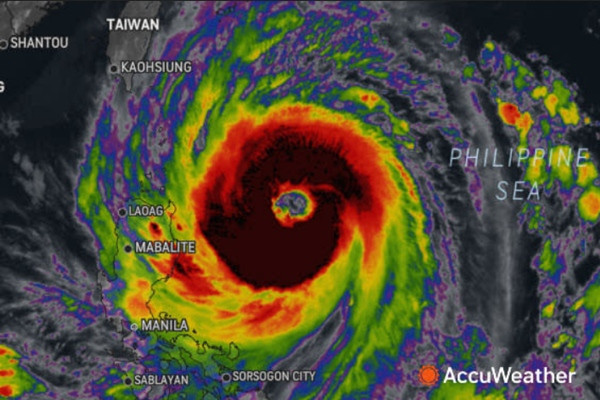
Trên hình ảnh vệ tinh, bão Kong-rey trông rất cân đối và giống như một chiếc bánh donut (bánh vòng). Hình dáng của nó như vậy thể hiện điều gì?
Trước hết, bão mà cân đối chứng tỏ là độ đứt gió thấp và bão có xu hướng rất mạnh, theo Cơ quan Quản lý Khí quyển và Đại dương Quốc gia Mỹ (NOAA). Còn khi cơn bão có mắt to, trông nó sẽ giống như một cái bánh xe tải hoặc cái bánh mỳ vòng, theo trang AccuWeather.
![]() |
| Bão Kong-rey trông rất giống một chiếc bánh vòng. Ảnh: AccuWeather. |
Mắt bão “lỗ kim” (rất nhỏ và nét) thường được coi là dấu hiệu của những cơn bão mạnh, theo hiệu ứng “vận động viên trượt băng”, tức là khi người này dang rộng tay ra thì xoay chậm hơn, còn khi thu tay lại gần cơ thể thì xoay nhanh hơn nhiều. Tuy nhiên, mắt bão to không nhất thiết có nghĩa là cơn bão đó yếu, theo nhà khí tượng học Alex DaSilva ở Mỹ. Thậm chí, một số cơn bão có mắt bão to lại duy trì được cường độ lâu hơn.
![]() |
| Một ngư dân ở Đài Loan (Trung Quốc) đang buộc chặt thuyền của mình vào ngày 30/10 khi bão Kong-rey sắp đến. Ảnh: I-Hwa Cheng. |
CWA nhận định rằng bão Kong-rey sẽ đổ bộ Đài Loan (Trung Quốc) vào sáng mai, 31/10. Hiện chưa chắc chắn là cơn bão này có đi vào Biển Đông đến điểm mà nước ta sẽ cấp số hiệu cho nó là cơn bão số 7 hay không, nhưng có thể nói là bão Kong-rey không ảnh hưởng trực tiếp đến nước ta.
![]() |



